Mornings of 11th and 12th June 2022
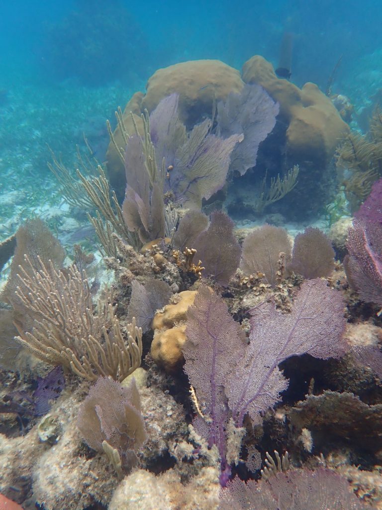
We sped over on the dinghy a couple of times from Hunting Cay, in the mornings while the seas were calm. The snorkeling off the South-West was wonderful, extensive seagrass beds and then, further off, some of the best coral we’d seen to date. “A proper reef” as the kids mentioned. A few dozen times. Arthur was especially happy to see a fish cleaning station- a Spotlight Parrot Fish waiting, head up, to be cleaned nby a Blue-Headed Wrasse. And we saw our first Lionfish, and invasive species here that we could and should spearfish, and some resorts will prepare and cook for you!












We met Gilbert, one of the island caretakers – he works on the island for a three-week shift, mostly to clean up after the tour groups who leave their litter all over the place. Don’t be like the tour groups, folks. And he’s also taking care of the place, clearing up some of the foliage and washed-up rubbish and such. Anyway, after he mentioned a “fee” of whatever we’d like to pay (read: tip), and our inclination to give him something before we left, he showed us around the island and collected a few coconuts on our behalf. Visible turtle nests, derelict housing that had been put in place by a previous owner. The two current owners have intentions of development but are moving at island-pace.












Arthur thoroughly enjoyed fishing for small snapper off a log. A couple were worth keeping, the rest provided much entertainment and were returned- Arthur is beginning to enjoy catch and release fishing.
Hector played games with the anchor and chain, often tied to a board fender he claimed was his boat. And had his first attempt to machete open a coconut; not successful, but he had fun and still has all his limbs, so a win.


Theo is enjoying taking photographs underwater. here, he seemed to be especially liking the patterns sunlight made on the sand through the durface of the water.


